1号台风黄蜂最新消息 广东福建台湾都要警惕这种天气
2020-05-12 23:35:37

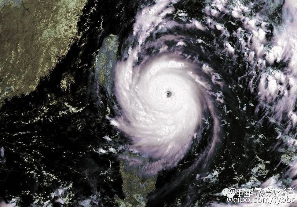
2020年5月12日晚8点,今年第1号台风“黄蜂”在菲律宾以东洋面生成。它的前身,正是我们之前多次提到的台风胚胎95W。卫星云图可见,生成前后的黄蜂,已有非常明确的核心云团,强烈对流围绕中心旋转、翻滚。

5月12日晚黄蜂红外云图,来自RAMMB

5月12日下午准黄蜂台风云图动画,中气爱根据H8数据制作

和往年的1号台风相比,黄蜂来的晚了些。据统计,1号台风平均出现在3月,40%的1号台风出现在1月份。当然,今年还不算最晚,1998年的1号台风nicole生成于7月8日,为二战以来最晚;2016年1号台风尼伯特生成于7月3日,为2000年以来最晚。而这两年都和今年类似,之前都发生了厄尔尼诺事件。

2016年1号超强台风尼伯特云图,来自香港天文台

正如之前所说,黄蜂台风接下来的路径趋势较为清晰:它将走一个抛物线路径,最大可能是先登陆菲律宾中部,随后在吕宋岛附近转向北,进入巴士海峡,近距离掠过我国台湾南部后转向进入太平洋。如果台风强一些,它的路径就偏东一些;如果台风弱一些,它就偏西一些。

ECMWF对黄蜂台风的集合分析,中气爱制作

可见,黄蜂台风直接登陆我国的可能性已经很小,最多就是擦台湾南部一下,它的狂风暴雨主要还是会吹袭菲律宾,请在菲华人朋友做好准备。但是,在黄蜂西行和北上期间,也就是5月13-16日,其西北侧下沉气流将配合副高,给广东、台湾、福建大部带去高温高湿、空气较差的酷热天气。

据官方预报,受副热带高压和黄蜂台风下沉气流影响,5月17日之前广州将出现桑拿天,来自NMC

而到5月17日以后,随着黄蜂的转向、副高的东退,西南季风将在南海全面爆发,华南龙舟水、福建雨季、台湾梅雨随即开始。5月18日前后,广东、广西、福建、台湾都可能迎来今年最强暴雨。

5月16-19日,西南季风在南海的爆发过程预估。中气爱根据ECMWF数据制作

总之,1号台风虽然登陆我国的可能性不大,但它会促成副高东退和南海夏季风爆发,对我国的间接影响不容忽视,尤其是华南、福建和台湾。其中,台风转向之前,广东福建台湾可能“吃下沉”,会热几天;台风转向之后,两广福建台湾将陆续进入强盛的雨季。